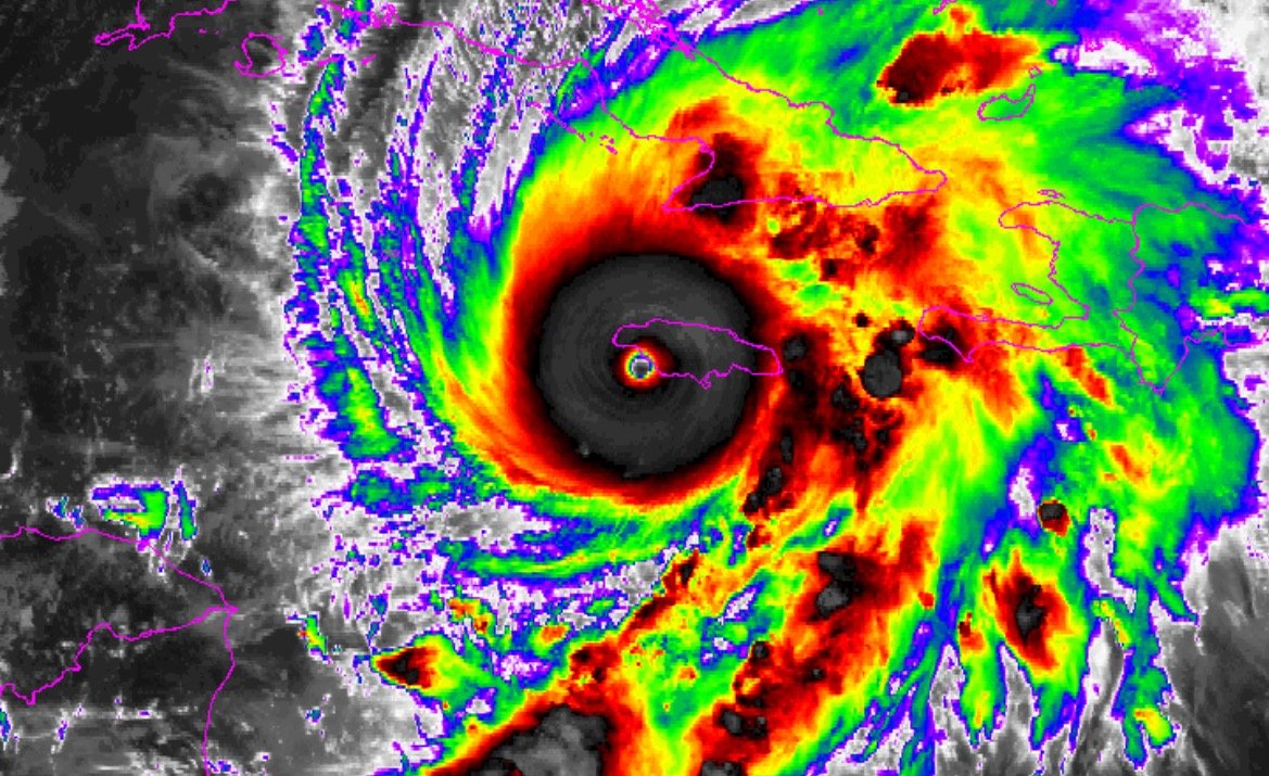
Nejspíš jste již zaznamenali, že na Jamajku – a v podstatě i celou oblast Karibiku – právě dopadá velmi silný hurikán. Podle toho, co uvádí
Štítek: hurikán
Evropu možná čeká další přírodní katastrofa: Stojí za tím geoinženýrství?5 (33)
V posledních dnech se objevují zprávy o přicházejícím hurikánu takové síly, jakou západoevropské země dosud nezažily. To nejhorší by mělo postihnout zejména Holandsko, Německo, část
Po hurikánu Milton v USA nařídila FEMA záchranářům, aby nepomáhali lidem z domů s nápisy na podporu Trumpa5 (17)
FEMA je organizace, která má pomáhat v krizích, zejména v případě různých přírodních katastrof. Nicméně v posledních letech nacpala miliardy dolarů na podporu migrantů, neboť
Guvernér Severní Karolíny potvrzuje, že mnoho komunit nebude po hurikánech obnoveno, pozemky stát odkoupí5 (11)
Další konspirace se potvrzuje? Zdá se, že často zmiňovaná možnost, že nedávné hurikány byly umělým výtvorem, se nyní jeví být mnohem pravděpodobnější. Již v době,
Kongresmanka učinila pozoruhodné prohlášení o manipulaci s počasím po ničivém hurikánu (video)5 (19)
V souvislosti s oběma hurikány, které se nedávno prohnaly USA, se stále více hovoří o manipulacích s počasím. To, že nejde o žádné konspirační teorie,
Hurikán Helene: Další alarmující svědectví ukazuje Harrisovou jako čiré zlo (video)5 (12)
V souvislosti s nedávnými hurikánem Helene a následujícím hurikánem Milton se hovoří o tom, že jde ze strany vlády o nejhůře zvládnutou situaci po hurikánu.
Hurikán Milton: Podívejte se na záběry od lovců bouří (videa)5 (12)
Zatímco část Floridy, kterou právě pustoší hurikán Milton, opustili téměř všichni obyvatelé, jiní na Floridu zamířili účelově, aby natočili záběry jednoho z nejhorších hurikánů, jaké
Odborník na geoinženýring: Je nesporné, že hurikán Helene byl vytvořen manipulací s počasím (video)4.7 (14)
Toto prohlášení zkušeného odborníka, který se otázkou manipulacemi s počasím zabývá již dlouhé roky, zcela jistě platí také pro nadcházející hurikán Milton, který se chystá
Úmysl? Krátce před volbami hází Biden Harrisové klacky pod nohy (video)5 (7)
Zdá se, že přinejmenším v poslední době – tedy po nuceném odstoupení Bidena, které však bylo již dlouho očekávané – došlo k rozkolu prezidenta a
USA: FEMA, která nyní tvrdí, že nemá peníze na pomoc obětem hurikánu, nakoupila luxusní byty pro migranty za miliardu USD (video)5 (12)
FEMA, jejímž úkolem je pomáhat zejména obětem přírodních katastrof, které se v USA vyskytují poměrně často, již od počátku, co přišel jeden z nejničivějších hurikánů
Hurikán Helene: Vláda dává přednost migrantům a finanční podpoře válek než pomoci vlastním lidem (video)5 (8)
V posledních dnech se objevuje stále více alarmujících informací, které se týkají hurikánu Helene. Ten zpustošil jihovýchod USA a nechal za sebou stovky mrtvých a
V USA se množí názory, že Hurikán Helene nebyl přirozená událost (video)4.7 (15)
Hurikán Helene byl jedním z nejničivějších hurikánů posledních let. Podle množících se tvrzení nešlo o hurikán přirozený, ale řízený, přičemž i jeho „trasa“ byla údajně